注册
登录
个人中心
个人中心
首页
产品及服务
智能感知
工程物联网系统
数字孪生
工程数字孪生系统
隧道与地下工程数字孪生模型仿真与健康诊断平台
地质三维成像软件
隧道三维地质与风险监控系统
大模型
GeoMind
探测智能体
检测智能体
监测智能体
安全预警
矿山监测系统
桥梁监测系统
边坡监测系统
水库监测系统
道路检测系统
河堤监测系统
积水监测系统
隧道运营监测系统
隧道施工安全云系统
工地与基坑监测系统
无人机巡查管理系统
堤坝隐患险情探测与排查信息平台
机场跑道监测系统
解决方案
智慧城市
城市公共工程安全监测
城市路桥隧平台
水质监测
城市内涝监测
智慧交通
桥梁运营监测
隧道运营监测
高速路网运营管理
道路技术状况评定
综合监测系统
智慧工程
隧道施工安全
地质三维勘察系统
地质超前预报
水库安全监测
地灾监测
堤坝隐患排查
硬件产品
AGI-IDM 多点图像位移测量仪
AGI-RTU 数字采集终端系统
AGI-WLDS 隧道断面监测仪
AGI-VW 航天检测振弦采集仪
AGI-HGPR 手推式三维成像探地雷达
AGI-CGPR 车载三维成像探地雷达
AGI-GNSS 北斗GNSS一体化监测仪
AGI-T3(V) 隧道三维地质超前预报仪
AGI-T3 隧道三维地质超前预报仪
AGI-YG 隧道仰拱质量检测仪
AGI-MG 锚杆锚固质量检测仪
AGI-CT 工程CT检测仪
AGI-BWG 桥梁预应力管道注浆质量检测仪
AGI-L1 桥梁有效预应力检测仪
AGI-WR 无线中继
AGI-GW 远传网关
AI 智能计算盒
AGI-SAR-lite 全方位边坡监测雷达
坍塌体救援探测装备
硬件商城>
开放平台
项目案例
关于我们
新闻中心
商务合作:400-770-0140
全自研 国产化
隧道衬砌雷达智能识别软件
产品简介
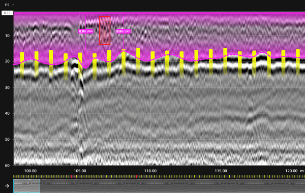
这款基于深度学习的隧道衬砌雷达智能识别软件,通过将地质雷达原始数据转化为灰度图,利用预训练模型高效准确识别钢筋位置、空洞等结构病害并计算衬砌厚度,为检测维护提供决策支持,提升检测效率与准确性。
产品优势
智能AI引擎
全维自动识别
专家级人机交互
精准把控质量
全流程数据处理
专业去噪增强
成果自动量化
一键生成报告
专业设备兼容
无缝对接主流数据
多维视图呈现
精准锚定里程
您的浏览器不支持 video 标签。
采用先进的AI技术,实现对钢筋数量、病害区域(长度及深度)以及衬砌厚度的三大核心指标进行全自动识别与追踪 ,为检测工作提供即时的参考值与决策指导,大幅提升数据分析效率。
主要参数
识别精度:
≥91%
识别速度:
100MS/张
适用病害类型:
空洞、不密实
识别目标:
钢筋、空洞、不密实
运行环境:
Windows 10, 无需联网, 单机运行
硬件需求:
12核CPU, 32GB内存, RTX 3060显卡, 1TB SSD
文件兼容性:
支持劳雷、矿大的地质雷达
数据处理:
背景消除、增益调整、零时校正
保存选项:
识别结果可保存为图片
手动标定:
支持用户手动添加标注
数据输出:
表格和图像输出,显示识别结果
信息交互:
支持表格与图像间的信息交互,点击定位
模型推理:
支持深度学习模型推理
应用实例
福宜高速
海惠连高速
牟元高速
香维二级公路
全自研 国产化
隧道衬砌雷达智能
识别软件
产品简介
这款基于深度学习的隧道衬砌雷达智能识别软件,通过将地质雷达原始数据转化为灰度图,利用预训练模型高效准确识别钢筋位置、空洞等结构病害并计算衬砌厚度,为检测维护提供决策支持,提升检测效率与准确性。
产品优势
智能AI引擎全维自动识别
智能AI引擎全维自动识别
您的浏览器不支持 video 标签。
采用先进的AI技术,实现对钢筋数量、病害区域(长度及深度)以及衬砌厚度的三大核心指标进行全自动识别与追踪 ,为检测工作提供即时的参考值与决策指导,大幅提升数据分析效率。
专家级人机交互精准把控质量
专家级人机交互精准把控质量
您的浏览器不支持 video 标签。
独创“AI辅助+人工审核”的专家系统模式。在AI快速初判的基础上,支持专家对钢筋、病害及层位线进行人工复核、修正与补录,完美结合了AI的高效与人的专业经验,确保检测结论科学、严谨、零误判。
全流程数据处理专业去噪增强
全流程数据处理专业去噪增强
您的浏览器不支持 video 标签。
支持检测结论的自动化输出,包括衬砌病害结论图、厚度统计表,以及完整的检测报告。从数据分析到报告交付一气呵成,直接满足业主及指挥部对检测报告的规范性与时效性要求。
成果自动量化一键生成报告
成果自动量化一键生成报告
您的浏览器不支持 video 标签。
支持检测结论的自动化输出,包括衬砌病害结论图、厚度统计表,以及完整的检测报告。从数据分析到报告交付一气呵成,直接满足业主及指挥部对检测报告的规范性与时效性要求。
专业设备兼容无缝对接主流数据
专业设备兼容无缝对接主流数据
您的浏览器不支持 video 标签。
专为隧道检测设计,完美支持GSSI、玛拉等雷达数据格式。通过特定的数据加载与处理流程,实现对单一或多选文件的快速批处理支持。
多维视图呈现精准锚定里程
多维视图呈现精准锚定里程
您的浏览器不支持 video 标签。
提供深度、时间、采样多种垂直坐标显示模式,配合指数分段增益调节功能,让深部微弱的缺陷细节也能清晰可见。特有的距离归一化与里程标记管理功能,确保雷达图像上的病害位置与隧道实际里程严格对应,彻底解决内业分析与现场验证脱节的难题。
主要参数
识别精度:
≥91%
适用病害类型:
空洞、不密实
运行环境:
Windows 10, 无需联网, 单机运行
文件兼容性:
支持劳雷、矿大的地质雷达
保存选项:
识别结果可保存为图片
数据输出:
表格和图像输出,显示识别结果
模型推理:
支持深度学习模型推理
识别速度:
100MS/张
识别目标:
钢筋、空洞、不密实
硬件需求:
12核CPU, 32GB内存, RTX 3060显卡, 1TB SSD
数据处理:
背景消除、增益调整、零时校正
手动标定:
支持用户手动添加标注
信息交互:
支持表格与图像间的信息交互,点击定位
应用实例
福宜高速
海惠连高速
牟元高速
香维二级公路
AI衬砌软件介绍
预警智能体示例
地质建模软件介绍
AI衬砌软件
介绍
预警智能体
示例
地质建模软件
介绍